往完町売地(更地渡し)

1,250万円

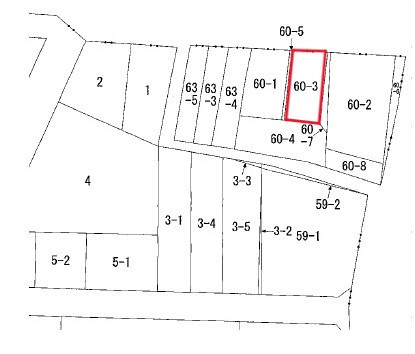
愛知県豊橋市往完町字往還東60-3

東海道本線「豊橋」駅徒歩15分

豊橋鉄道東田本線「駅前大通」駅徒歩21分

価格
1,250万円
土地面積(坪数)
95.47㎡(28.87坪)
所在地
愛知県豊橋市往完町字往還東60-3
築年
0年(-)
駐車
-
交通

東海道本線豊橋」駅 徒歩15分

豊橋鉄道東田本線駅前大通」駅 徒歩21分

往完町売地(更地渡し)の基本情報

物件名
往完町売地(更地渡し)
価格
1,250万円
土地面積
95.47㎡
築年月
0年(-)
総区画数
-
所在地
愛知県豊橋市往完町字往還東60-3
交通

東海道本線豊橋」駅 徒歩15分

豊橋鉄道東田本線駅前大通」駅 徒歩21分

往完町売地(更地渡し)の詳細情報

設備条件
設備(その他)
    -
駐車場/月額
-/0円
土地権利
所有権
国土法届出
不要
用途地域
第一種住居
区画数
- / -
管理形態
-
管理員の勤務形態
-
管理会社
-
取引態様
仲介
引渡し
相談
開発許可番号
-

往完町売地(更地渡し)で募集中の物件

  1. 28.87坪 (95.47㎡)

    1,250万円(43.3万円/坪)

近隣の物件

  1. 豊橋市富士見台2丁目

    - (198.42㎡)

    900万円

  2. 豊橋市東脇3丁目

    - (117.23㎡)

    950万円

  3. 豊橋市城下町字大井

    - (3268.00㎡)

    400万円

  4. 豊橋市神野新田町字キノ割

    - (495.00㎡)

    600万円

よく見られている物件

  1. 名古屋市北区安井4丁目

    - (165.28㎡)

    1,495万円

  2. 豊橋市城下町字大井

    - (3268.00㎡)

    400万円

  3. 稲沢市平和町平六

    - (114.57㎡)

    660万円

  4. 一宮市北方町北方字吹埋

    - (360.00㎡)

    490万円

往完町売地(更地渡し)

お気軽にお問い合わせください

LINEからお問い合わせ 無料お問い合わせ

株式会社小川不動産事務所

052-936-0259

9:00~18:00

(休:土・日・祝(ご予約の場合はご対応させていただきます。))